‘Beryl’ se convierte en huracán categoría 5 en el Atlántico
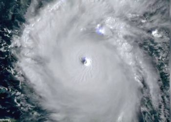
'Beryl' se convirtió hoy 1 de julio de 2024 en huracán categoría 5 en su avance por el océano Atlántico rumbo a las costas de México. Beryl se convirtió hoy 1...
Read moreDetails'Beryl' se convirtió hoy 1 de julio de 2024 en huracán categoría 5 en su avance por el océano Atlántico rumbo a las costas de México. Beryl se convirtió hoy 1...
Read moreDetailsHermosillo, Sonora.- Un predio que era usado como basurero clandestino por una empresa recicladora que vertía los desechos en el lugar fue clausurado por el Ayuntamiento en la colonia Luis...
Read moreDetailsEfectivos de seguridad pertenecientes a los tres niveles de gobierno reforzaron la zona aledaña al municipio de Caborca, Sonora, luego de que pobladores trabajadores del campo denunciaran intimidación por parte...
Read moreDetailsHermosillo, Sonora.- El Consejo General del Instituto Estatal Electoral (IEE) Sonora, aprobó en sesión extraordinaria las boletas electorales para las elecciones de diputaciones y ayuntamientos.El consejero Benjamín Hernández Avalos, presidente...
Read moreDetailsHermosillo, Sonora.- El nuevo comité del Sindicato de Trabajadores de la Industria de Radio y Televisión (STIRTT), Sección Hermosillo, encabezada por José “Pepe” Victorín Figueroa rindió protesta para un periodo...
Read moreDetailsHermosillo, Sonora.- Leyes que garanticen la atención, la no discriminación, la inclusión social y la accesibilidad a las personas con discapacidad en Sonora impulsará en el Congreso del Estado David...
Read moreDetailsHermosillo, Sonora.- Los municipios de Sonora han perdido hasta 300 millones de pesos en participaciones federales EN los últimos 24 años que ninguna administración de Hermosillo, incluidas las de María...
Read moreDetailsHermosillo, Sonora.- El Instituto Estatal Electoral y de Participación Ciudadana entregó los premios económicos a los ganadores del primero, segundo y tercer lugar del concurso de vídeo de TikTok “Votar...
Read moreDetailsHermosillo, Sonora.- Por diversas irregularidades fueron suspendidas dos guarderías en los municipios de Erchojoa y Huatabampo, por parte del personal de la Brigada Especial de Guarderías y Preescolares de la...
Read moreDetailsHermosillo, Sonora.- El dirigente del PAN en Sonora, Gildardo Real Ramírez, señaló que el Instituto Nacional Electoral les dio la razón una que se ordenó a María Dolores del Río...
Read moreDetails© 2024 Todos los derechos reservados. DossierPolitico.com