Autoridades piden a la población estar atentos a información oficial y tomar precauciones
EL UNIVERSAL
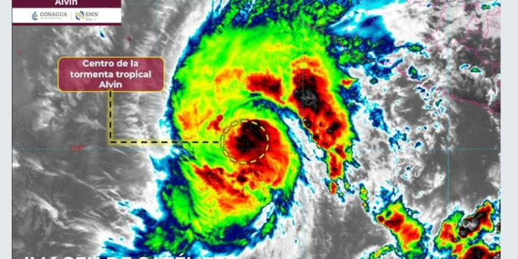
La tormenta tropical “Alvin”se fortaleció al sur de las costas de Jalisco y Colima, lo que provocará en varios estados lluvias y vientos muy fuertes así como oleaje elevado, en las próximas 24 horas.
De acuerdo con el reporte emitido, a las 15:00 horas de este 29 de mayo, por el Servicio Meteorológico Nacional de la Conagua, se prevé que “Alvin” continúe su desplazamiento paralelo a las costas del Océano Pacífico.
Las autoridades piden a la población tomar precauciones en los siguientes estados en los que se esperandesde chubascos hasta lluvias muy fuertes:
- Guerrero de 50 a 75 mililitros
- Jalisco de 25 a 50 mililitros
- Colima de 25 a 50 mililitros
- Michoacán de 25 a 50 mililitros
- Nayarit de 5 a 25 mililitros
Asimismo, las lluvias podrán estar acompañadas con descargas eléctricas y posible caída de granizo, lo que podrá incrementar los niveles de ríos y arroyos, deslaves, encharcamientos e inundaciones en zonas bajas de los estados indicados.
También se esperan vientos de 20 a 30 km/h con rachas de 50 a 70 km/h y oleaje de 2 a 3 metros en:
- Jalisco
- Colima
- Michoacán
Mientras que en Guerrero, serán menores, entre 10 a 20 km/h con rachas de 40 a 60 km/h y oleaje de 1 a 2 metros aumentando a 3 metros.
¿Cuál será la trayectoria de la tormenta tropical Alvin?
De acuerdo con la Conagua, se espera que Alvin avance de la siguiente forma:
- A 440 km al sureste de Isla Socorro, Colima y a 500 km al suroeste de Playa Pérula, Jalisco
- Luego a 435 km al oeste-suroeste de Playa Pérula, Jalisco
- Continúa a 375 km al oeste-suroeste de Cabo Corrientes, Jalisco
- Después 280 km al sur-sureste de Cabo San Lucas, Baja California Sur
- Para terminar a 125 km al sur-sureste de Cabo San Lucas, Baja California Sur
Autoridades piden a la población estar atentos a información oficial y tomar precauciones.











