Fuertes lluvias acompañadas de tormentas eléctricas y caída de granizo se prevén en los estados del noroeste
EL HERALDO DE MEXICO
El monzón mexicano sigue causando estragos en algunas regiones del norte del país y para las primeras horas del 15 de agosto provocará lluvias con episodios de chubascos en Sinaloa y Sonora.
De acuerdo con el Servicio Meteorológico Nacional, estas entidades presentarán precipitaciones de consideración, las cuales podrán estar acompañadas de caída de granizo y tormentas eléctricas.
Las regiones Norte, Centro Norte, Centro y Sur de Sinaloa, y Centro, Norte, Costa, Sur y Este de Sonora serán las principales afectadas por el fenómeno meteorológico, que también impactará algunas localidades vecinas.
En estas zonas no se descarta la posibilidad de trombas marinas, bancos de niebla y fuertes rachas de viento con velocidades de hasta 60 kilómetros por hora, por lo que las autoridades piden tomar precauciones.
Pronostican lluvias aisladas en Baja California
Para la Península de Baja California, los efectos del monzón mexicano se sentirán sobre todo en el sur de la región, donde se esperan chubascos y tormentas eléctricas principalmente en la zona serrana.
En contraste, el norte de la Península seguirá siendo la parte más calurosa del país, pues se espera que el termómetro alcance hasta los 45 grados en algunas localidades de Mexicali y Tecate.
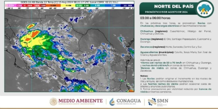
Caerán fuertes lluvias en Chihuahua
El pronóstico del clima realizado por la dependencia federal resalta que el territorio chihuahuense será afectado por fuertes lluvias con rachas de viento muy fuertes e incluso la presencia de tormentas eléctricas.
Las lluvias aisladas harán su aparición en el resto de las entidades de la llamada Mesa del Norte, donde también hay posibilidad de bancos de niebla y cielos de nublados a medio nublados.











