‘Beryl’ se convirtió hoy 1 de julio de 2024 en huracán categoría 5 en su avance por el océano Atlántico rumbo a las costas de México.
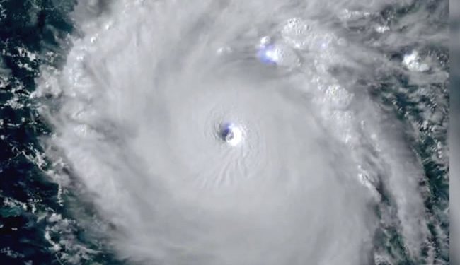
Beryl se convirtió hoy 1 de julio de 2024 en huracán categoría 5 en su avance por el océano Atlántico rumbo a las costas de México, donde se prevé que toque tierra dos veces, informó el Centro Nacional de Huracanes de Estados Unidos.
El huracán se encontraba a mil 355 kilómetros al este-sureste de Kingston, Jamaica, con vientos máximos sostenidos de 260 km/h, añadió el NHC.
Beryl azotó el sureste del Caribe con fuerza de categoría 4 en la escala de cinco niveles de Saffir-Simpson, tras girar en espiral hacia las Islas de Barlovento y amenazar con inundaciones devastadoras, a medida que sus vientos letales cobraban velocidad.
Reportan un muerto por Beryl en San Vicente
El huracán Beryl causó estragos en Granada, Barbados y Trinidad y Tobago, y amenaza incluso el sur de República Dominicana y Haití, informó el Centro Nacional de Huracanes. En las islas del Caribe dejó una “inmensa destrucción” y al menos una persona sin vida.
Ralph Gonsalves, primer ministro de San Vicente y las Granadinas, informó que al menos una persona murió por el pasp del “peligroso y destructivo” huracán Beryl en las islas Union, Mayreau y Conouan.
“Al menos una persona murió y puede haber más fallecidos. Aún no lo sabemos”, lamentó Gonsalves.
La Comisión Nacional del Agua indicó que el huracán Beryl se localiza a 825 km al este-sureste de Isla Beata, República Dominicana, y a dos mil 460 km al este-sureste de Cancún, Quintana Roo.
Presenta vientos máximos sostenidos de 260 km/h, rachas de 315 km/h y desplazamiento hacia el oeste-noroeste a 35 km/h. Por el momento, no representa peligro para el territorio mexicano.
Autor: S.García / Excelsior
Nota Original: https://www.excelsior.com.mx/global/beryl-convierte-huracan-categoria-5-trayectoria-hoy-1-julio-2024/1660396









